Aprova a alteração de projeto de urbanismo em razão de retificação das dimensões do Lote 2/28, Trecho 02, localizado no Setor de Clubes Esportivos Sul – SCES, da Região Administrativa do Plano Piloto - RA I.
O SECRETÁRIO DE ESTADO DE DESENVOLVIMENTO URBANO E HABITAÇÃO DO DISTRITO FEDERAL, no uso das atribuições que lhe confere o art. 105, parágrafo único, incisos III e V, da Lei Orgânica do Distrito Federal, combinado com o Decreto nº 39.610, de 1º de janeiro de 2019, com fundamento na Lei Complementar nº 803, de 25 de abril de 2009, atualizada pela Lei Complementar nº 854, na Lei Complementar nº 948, de 16 de janeiro de 2019, alterada pela Lei Complementar nº 1.007, de 28 de abril de 2022, na Lei Complementar nº 1.027 de 28 de novembro de 2023, regulamentada pelo Decreto nº 46.143, de 19 de agosto de 2024, e tendo em vista o que dispõe o Processo SEI nº 00111-00005434/2023-99, resolve:
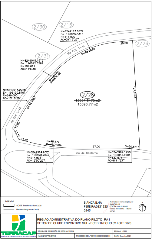
Art. 1º Fica aprovada a alteração do Projeto de Urbanismo - URB 039/1987 e Memorial Descritivo - MDE 039/1987, com o respectivo Quadro Demonstrativo de Unidades Imobiliárias - QDUI, no que se refere à retificação das dimensões do Lote 2/28, Trecho 02, localizado no Setor de Clubes Esportivos Sul – SCES, da Região Administrativa do Plano Piloto - RA I, nos termos do croqui constante do Anexo Único desta portaria.
Art. 2º Fica autorizada a inclusão de nota a ser inserida na folha de alteração no MDE 039/1987 e no Quadro Demonstrativo de Unidades Imobiliárias – QDUI, e o seu respectivo registro no Processo SEI nº 00390-00000029/2025-93, com a seguinte redação:
"Nota: Fica alterado o Quadro Demonstrativo de Unidades Imobiliárias - Anexo I, referente ao Lote 2/28, Trecho 02, do Setor de Clubes Esportivos Sul – SCES, localizado na Região Administrativa do Plano Piloto - RA I, conforme processo SEI nº 00111-00005434/2023-99, na forma a seguir:"
Art. 3º Os documentos urbanísticos relacionados ao presente ato devem estar disponíveis no endereço eletrônico http://www.sisduc.seduh.df.gov.br/, no prazo máximo de 7 dias, contados a partir da publicação no Diário Oficial do Distrito Federal - DODF, nos termos determinados no art. 4º da Portaria 95, de 21 de outubro de 2021, e a inclusão do Formulário de Alteração de Projeto de Urbanismo no Sisduc deverá ser efetuada pela unidade responsável pelo arquivamento no prazo máximo de 5 dias úteis, contados a partir da entrada do documento de comprovação do registro imobiliário, conforme determina o art. 5º da Portaria nº 87, de 27 de setembro de 2024, ambas da Secretaria de Estado de Desenvolvimento Urbano e Habitação - Seduh.
Art. 4º Revoga-se a Portaria nº 07, de 06 de fevereiro de 2024.
Art. 5º Esta Portaria entra em vigor na data de sua publicação.

Croqui de correção de erros materiais. SCES Trecho 02 lote 2/28. Planta URB 039/1987. Fonte: Terracap.
Este texto não substitui o publicado no DODF nº 52, seção 1, 2 e 3 de 18/03/2025 p. 42, col. 2